-
塔里他里哈遗址 编辑
塔里他里哈遗址,位于青海省海西蒙古族藏族自治州都兰县巴隆乡诺木洪农场二大队三中队驻地南,遗址总面积约250平方米,是商至周时期的古遗址。
塔里他里哈遗址文化堆积分布为7层,由三个小山包组成,已有约8000年的历史,属新石器时代遗址。1959年,由青海省文管会和中国科学院考古所组成的考古队对三座土丘进行了试掘,发现塔里他里哈遗址所处的文化类型,与其他文化类型皆有区别,因为遗址首先发现于诺木洪,故被命名为诺木洪文化遗址。诺木洪文化盛行的的时候,中国中原地区正处于西周时期。同年,出土了青海省最早的两个残车毂。塔里他里哈遗址在考古界有重要的地位,对研究青海史前文明有重要价值。
2013年3月5日,塔里他里哈遗址被中华人民共和国国务院公布为第七批全国重点文物保护单位。
中文名:塔里他里哈遗址
地理位置:青海省海西蒙古族藏族自治州都兰县巴隆乡诺木洪农场二大队三中队驻地南
所处时代:商至周
保护级别:第七批全国重点文物保护单位
编号:7-0481-1-481
批准单位:中华人民共和国国务院
1959年,由青海省文管会和中国科学院考古所组成的考古队对三座土丘进行了试掘,发现塔里他里哈遗址所处的文化类型,与其他文化类型皆有区别,因为遗址首先发现于诺木洪,故被命名为诺木洪文化遗址。诺木洪文化盛行的的时候,中国中原地区正处于西周时期。同年,出土了青海省最早的两个残车毂。
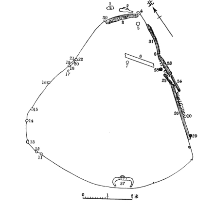
塔里他里哈遗址平面图
地层堆积
塔里他里哈遗址地层堆积
围墙遗迹
墙基在离地面深约2.25米的第4层内发现,再结合断壁上暴露的遗迹观察,围墙主要砌筑在第4、5两层以上。发现9座土坯围墙。围墙内的建筑遗迹,保留较少。土坯多以黄土作原料,有的羼少量炭灰或炭灰和白灰。
房子遗迹
清理房子11座,多在第2、3两层内,以F9保存较完整。这11座房子残迹,除F1、F10在第4和第1号土坯围墙内清理出以外,其余的多在第II地点的接近中部处,是农场挖取灰土的断壁上发现而清理的。它们的附近没有土坯围墙,可能是围墙圈外的居住建筑。在第2、3、5、6等号土坯围墙内,虽也有建筑遗存发现,均未清理、编号。总之,当时的房子,有的建筑在围墙圈内,有的可能没有围墙圈的设置。这些房子主要是用木料构成,彼此相距较近。
土坯坑
清理的土坯坑有9个,多在第II地点中部的第2层内。有的分布在房基附近,如F3~F5的周围就有H1~H5土坯坑5个,与房子有一定联系,也许是储存食物的窖穴。这种土坯坑多挖在灰土上。口径大于底径,略呈圆形、椭圆形和长方形的坑。底部铺一层土坯,周壁也砌土坯,再在土坯上敷一层泥浆。一般口径以0.9~1.1米的较多,也有大至1.3米或小至.08米的,深一般60~70厘米,也有深到80厘米以下的。这种土坯多较土坯围墙的土坯要大一些,井且有的略呈梯形。
瓮棺葬
农场挖取灰上时,出土了一些完整的陶器,与人骨共存,可能为墓葬的随葬品。在断壁上清理了3座瓮棺葬,均遭破坏。瓮棺葬附近还有木柱和柱洞的建筑遗迹。
圈栏遗迹
圈栏遗迹图
石器
骨器
骨器
木器
残车毂
陶器
陶器有陶纺轮、陶球等。
牦牛陶塑
铜器
塔里他里哈遗址中,还出土铜斧、铜刀、铜钺等器物,还有炼铜工具以及铜渣等,说明诺木洪人的手工艺技术高超,他们除了能制造日常生产、生活用品外,还能制造车辆及武器。
塔里他里哈遗址出土文物
地理位置
塔里他里哈遗址位于青海省海西蒙古族藏族自治州都兰县巴隆乡诺木洪农场二大队三中队驻地南。
诺木洪农场
交通信息
自驾:自青海省海西蒙古族藏族自治州都兰县巴隆乡人民政府开车前往塔里他里哈遗址,路程约129.1千米,用时约2小时25分钟。
1、本站所有文本、信息、视频文件等,仅代表本站观点或作者本人观点,请网友谨慎参考使用。
2、本站信息均为作者提供和网友推荐收集整理而来,仅供学习和研究使用。
3、对任何由于使用本站内容而引起的诉讼、纠纷,本站不承担任何责任。
4、如有侵犯你版权的,请来信(邮箱:baike52199@gmail.com)指出,核实后,本站将立即删除。
下一篇 青藏公路建设指挥部旧址
上一篇 塔温搭里哈遗址

















